近日,据钦州市自然资源局发布的土拍公告中,拟于4月29日拍卖4宗地块,土地总面积39835.92㎡(约59.75亩),总起拍价1312万元。
其中,钦北网拍2025-3地块为公用设施用地,位于钦北区小董镇、大垌镇、平吉镇(那道村委古道岭)一带,其余地块均为工业用地。

▼拟出让地块详情 ▼
▎钦南网拍2025-3号
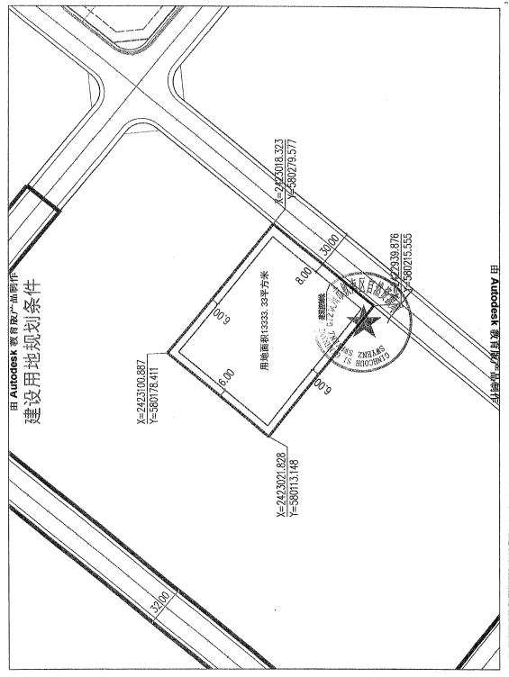
土地位置:钦南区那丽产业园
土地面积:13333.33㎡(约20亩)
土地用途:工业用地(乐器制造)
土地使用年限:50年
容积率:1.1-1.5
建筑限高:24米
起拍价:拍卖起价为人民币240万元,加价幅度5万元

地块现场图

建设用地条件
钦南网拍2025-1号
土地位置:钦北区皇马工业园区三区大垌二十路南面、大垌十一路西面
土地面积:9597.89㎡(约14.4亩)
土地用途:工业用地(农副食品加工业)
土地使用年限:50年
容积率:1.1-2.0
建筑限高:40米
起拍价:拍卖起价为人民币245万元,加价幅度10万元。

地块现场图
钦北网拍2025-2号
土地位置:钦北区皇马工业园区三区大垌二十路南面
土地面积:6000㎡(约9亩)。
土地用途:工业用地(农副食品加工业)
土地使用年限:50年
容积率:1.1-2.0
建筑限高:40米
起拍价:拍卖起价为人民币152万元,加价幅度10万元。

地块现场图
钦北网拍2025-3号
土地位置:钦北区小董镇、大垌镇、平吉镇(那道村委古道岭)一带
土地面积:10904.70㎡(约16.36亩)。
土地用途:公用设施用地
土地使用年限:50年
容积率:风机和开闭所地块的容积率≤0.2;升压站地块的容积率≤1.0。
建筑限高:24米
起拍价:拍卖起价为人民币675万元,加价幅度10万元。


地块现场图
为啥近期出让的均为工业用地和公用设施用地?
近期出让的土地主要集中在工业用地和公用设施用地,主要是基于以下几个原因:
优化用地结构和提高利用率:地方政府通过出让更多的工业用地和公用设施用地,旨在优化城市用地结构,提高土地的节约集约利用水平,并促进开发区的高质量发展。这样做可以更有效地管理和利用土地资源,提升土地使用的效率和效益。
推动产业发展和经济增长:通过提供工业用地和公用设施用地,地方政府能够吸引和支持各类工业项目和基础设施建设,从而推动相关产业的发展和区域经济的增长。这不仅有助于提升当地的产业竞争力,还能增加政府的税收和就业机会。
实施优惠政策和吸引更多投资:出让工业用地和公用设施用地往往是通过一些优惠政策来吸引企业和投资者,这些政策可能包括土地使用权的优惠、税收优惠、基础设施建设支持等,旨在降低企业的运营成本,提高区域的投资吸引力。

以上地块均处于公告阶段,目前还未有人出价,交易时间为2025年4月29日,zui终能否出让成功呢?让我们拭目以待!













